ترامب شكّك 115 مرّة بالتغيّر المناخي.. فردّ عليه هارفي وإيرما!
ففي أواخر سنة 2012، غرّد #ترامب على "تويتر" كاتباً: "إنّ مفهوم #الاحتباس_الحراري تمّ ابتداعه من الصينيّين ولأجلهم بغرض جعل الصناعة الأميركيّة غير تنافسيّة". ونالت هذه التغريدة حوالي 67 ألف إعجاب وأعيد تغريدها 105 آلاف مرة . وبالحديث عن التغريدات المرتبطة بهذا الموضوع، وجد موقع "فوكس" الأميركي أنّ ترامب غرّد مشكّكاً بالتغيّر المناخي 115 مرّة، بين عامي 2011 و 2015 فقط!
وكان انسحاب ترامب من #اتّفاقيّة_باريس للمناخ من بين أوّل الوعود الانتخابيّة التي حقّقها بعد دخوله البيت الأبيض. ثمّ قام بحلّ لجنة استشاريّة فيديراليّة مؤلّفة من 15 عالماً مهمّتها تقديم التوجيهات لاتّخاذ التدابير المرتبطة بمكافحة التغيّر المناخي. من جهته، سلّط الموقع الضوء على خلط ترامب للمفاهيم في تغريداته المناخيّة إذ لم يكن قطب الأعمال يميّز مثلاً بين الطقس والمناخ. حين كانت عاصفة ثلجيّة تضرب الولايات المتّحدة باكراً أو تجعل درجات الحرارة تنخفض بشكل كبير، كان يسرع للتشكيك بنظريّة الاحتباس الحراري. بذلك، يكون قد خلط بين الطقس الذي هو مجموعة العوامل الجوّيّة التي تسيطر فوق إقليم معيّن لفترة محدودة من الزمن وبين المناخ الذي يقاس بالسنوات والقرون.

وإذا كان يمكن التسامح مع عدم وضوح هذه المفاهيم لدى العموم، فإنّ الأمر يصبح أصعب مع السياسيّين أو قادة الرأي في المجتمع بشكل عام. حين يتحدّث العلماء عن الاحتباس الحراري، فهم يتحدّثون عن ارتفاع معدّل درجة الحرارة على امتداد أكثر من مئة سنة. هذا الارتفاع يؤدّي إلى مجموعة من التغيّرات المناخيّة المتطرّفة من بينها زيادة حدّة الأعاصير في القسم الشماليّ من المحيط الأطلسي. وهذا ما كان واضحاً للأميركيّين خلال الفترة الماضية.
جشع ومؤامرات غبيّة
منذ يومين، كتب مايكل دالي مقالاً في موقع "ذا دايلي بيست" الأميركيّ ينتقد فيه بشدّة أولئك الذين يشكّكون بنظريّة التغيّر المناخي. فهو رأى أنّ إعصار "إيرما" ضرب موطن عدد كبير من المشكّكين (فلوريدا) فتسبّب بأضرار للقصور الفخمة التي يملكها أصحاب المليارات مثل ترامب ودايفد كوخ والإعلاميّين روش ليمبو وآن كولتر وغيرهم من المشكّكين... ثمّ ذكّر الكاتب بأنّ إعصار إيرما هو أقوى إعصار تمّ تسجيله في المحيط الأطلسي، مدفوعاً بارتفاع درجة حرارة مياهه وارتفاع نسبة الرطوبة في أجوائه. وقبل أسبوع على "إيرما" ضرب "هارفي" ولاية #تكساس بأكبر كمّيّة أمطار تمّ تسجيلها وبسبب العوامل الطبيعيّة المتغيّرة نفسها. وغرّدت كولتر عبر تويتر: "لا أعتقد أنّ إعصار هارفي هو عقاب من الله لأنّ هيوستن انتخبت عمدة مثليّة. لكنّ هذا أكثر مصداقيّة من التغيّر المناخي". أمّا ليمبو فرأى أنّ التحذيرات من الإعصار هي مؤامرة بين الإعلام والشركات لخلق الرعب في نفوس المواطنين كي يسارعوا لشراء المياه والبطّاريات. وعلّق دالي على ذلك في مقاله خاتماً مشيراً إلى أنّ الجشع الذي لا حدود له والمؤامرات الغبيّة وصلت إلى حدّ لا يمكن التسامح معها.
أ
1000 ميلليمتر في أربعة أيّام
تشكّل إعصار #هارفي في أواسط آب الماضي ليتبدّد في الثاني من أيلول حيث وصلت رياحه إلى 215 كيلومتراً في الساعة. وضرب شرق تكساس لحوالي 4 أيّام فتسبب بفيضانات كبيرة حيث تمّ تسجيل سقوط ألف ميلليمتر من الأمطار في قسم كبير من الولاية بينما وصلت الكمّيّة القصوى من المتساقطات إلى حوالي 1300 مم وهو رقم قياسيّ في تاريخ الولايات المتّحدة. وقتل الإعصار 70 أميركيّاً كما شرّد 30 ألفاً آخرين، فيما تقدّر الخسائر المادّيّة بحوالي 70 مليار دولار بالحدّ الأدنى.
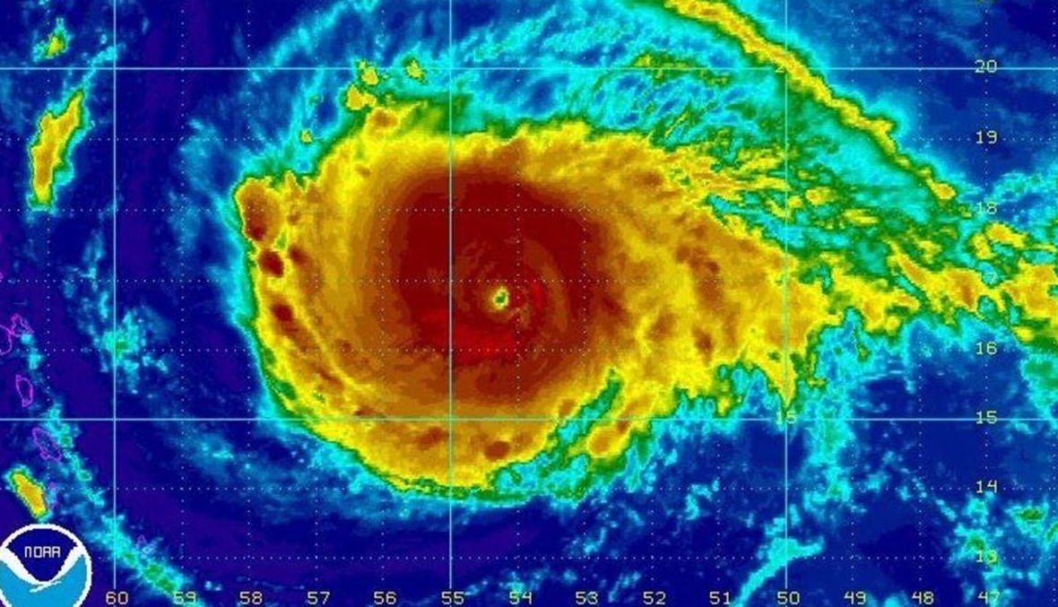
إيرما أكبر من فرنسا.. ورقم قياسيّ آخر
أمّا #إيرما فله حكاية أخرى أكثر رعباً إذ إنّ مساحته تفوق مساحة فرنسا. كما أنّه سجّل رياحاً وصلت إلى 295 كيلومتراً في الساعة وهو إعصار من الفئة الخامسة (الأعلى) قبل أن يتراجع إلى الفئة الرابعة مع دخوله فلوريدا. أمّا الرقم القياسيّ التاريخيّ الذي يحمله فهو حفاظه على أقصى سرعة للرياح لأطول فترة ممكنة (37 ساعة متواصلة). وفي الوقت نفسه يضرب إعصاران آخران منطقة الكاراييب (جوزيه) والمكسيك (كاتيا). علماً أنّ هذه الأرقام ليست نهائيّة بل هي قابلة للتعديل بعد نهاية الإعصار والدراسات المرتبطة بتقييمه.
الوقت غير مناسب لهذا الحديث!
وانتقد وزير البيئة الفرنسيّ نيكولا هولو الرئيس #ترامب لمواقفه إزاء #التغيّر_المناخي، مشيراً في حديث إلى قناة "فرانس-2" أنّ هذه الأعاصير القويّة تقترب من أن تكون هي القاعدة مع #الاحتباس_الحراري الذي يتسبّب به البشر. وكان مدير وكالة حماية البيئة سكوت برويت الذي عيّنه ترامب في منصبه، قال لشبكة "سي أن أن" الأميركيّة إنّ الوقت غير مناسب للتحدّث بشأن التغيّر المناخي (الذي لا يعتقد بصحّته) لكنّه مناسب لمساعدة المنكوبين. وليس برويت الوحيد الذي ينكر صحّة نظريّة الاحتباس الحراري من بين من عيّنهم ترامب في مناصب بارزة. فمنذ أيّام، وقع اختيار ترامب النهائي على الجمهوريّ جيم بريدنستاين ليترأّس وكالة "ناسا" في حين أنّ الأخير هو من منكري واقع التغيّر المناخي. لكنّ الرجل الذي يستوجب الحصول على موافقة الكونغرس ليتمّ تعيينه رسميّأً، أثار جدلاً واسعاً في صفوف الحزبين.
مؤشر "ليس جيّداً"
إنّ إصرار ترامب على الاستعانة بمن يفسّرون علم المناخ بنظريّات مؤامراتيّة لا يوحي بإمكانيّة تحقيق تقدّم كبير في مكافحة الاحتباس الحراري. الباحث في مجال العلوم والأعاصير لأكثر من 25 سنة سيث بورنشتاين يقول لوكالة "أسوشييتد برس" إنّ الأعاصير الكبيرة مثل إيرما "تتغذّى من المياه الدافئة" التي يحتاج سطحها لكي يكون على حرارة تبلغ 26 درجة وأعلى. ويشير إلى أنّ البؤر التي تشكلت خلالها الأعاصير الثلاثة كانت أعلى بعدّة درجات من المعدّل "وهذا ليس جيّداً".
من جهة أخرى، شهدت الأشهر الستّ الأولى من هذا العام ثاني أعلى حرارة مسجّلة في سجلّات وكالة ناسا، بعد سنة 2016 التي كانت ظاهرة "النينو" نشطة خلالها. ولفت هذا الأمر العلماء لأنّه لولا تلك الظاهرة التي تتكرّر دوريّاً لكان عام 2017 هو الأكثر احتراراً على الإطلاق. وبدأت سنة 2014 في تحقيق الرقم القياسيّ في الحرارة المرتفعة المسجّلة ليتحطّم رقمها سنة 2015 ثمّ 2016.
هارفي وإيرما ... وماكرون
صحيح أنّ الدراسات والأبحاث تتطوّر أو تتعدّل باستمرار ومن بينها تلك التي ترتبط بدراسة الأعاصير. فموسم الأعاصير في الولايات المتّحدة ما زال في منتصفه (حزيران – تشرين الثاني) لذلك هنالك مزيد من الوقت لدراسة هذا الموسم وقياسه بالمواسم السابقة. لكنّ الوقت يضيق على ترامب ومستشاريه المناهضين لفكرة أنّ الغازات المنبعثة تتسبّب في ارتفاع درجة حرارة الأرض.
في مقابلة مع صحيفة "جورزنال دو ديمانش" الفرنسيّة لفت الرئيس فرانسوا #ماكرون النظر إلى أنّ ترامب "قال لي إنّه سيحاول إيجاد حلّ ما (لاتفاق المناخ) في الأشهر القليلة القادمة. لقد ناقشنا بالتفصيل كلّ ما من شأنه مساعدته في العدول عن قراره والعودة إلى اتّفاقيّة باريس". فهل يساعده في ذلك، "هارفي" و "إيرما" و "كايتي" وغيرها؟