قنفذ بحر (أ ف ب).
يحذّر علماء الأحياء البحرية من تهديد جديد يطال الشعاب المرجانيّة المذهلة في البحر الأحمر، يتمثّل في النفوق الجماعي لقنافذ البحر بسبب مرض غامض محتمل.
تستذكر ليزا ماريا شميدت لحظة اكتشافها وزملاء لها نفوقاً جماعيّاً لمجموعات من قنافذ البحر قبالة شواطئ إيلات في جنوب إسرائيل، قرب الحدود مع الأردن ومصر، في حادثة غامضة تُعرّض بقاء الشعاب المرجانية قبالة البحر الأحمر للخطر.
تستذكر ليزا ماريا شميدت لحظة اكتشافها وزملاء لها نفوقاً جماعيّاً لمجموعات من قنافذ البحر قبالة شواطئ إيلات في جنوب إسرائيل، قرب الحدود مع الأردن ومصر، في حادثة غامضة تُعرّض بقاء الشعاب المرجانية قبالة البحر الأحمر للخطر.

وتقول شميدت: "عندما قفزنا إلى الماء، لاحظنا فجأة أنّ كل تلك العيّنات التي كنا نراها من قبل زالت ولم يبق إلا هياكل عظمية وأكوام من الأشواك".
في كانون الثاني، تناهى إلى مسمع الفريق أنّ قنافذ البحر قبالة إيلات تموت بسرعة، فتوجهوا إلى إحدى النقاط المعروفة بكثرة القنافذ من جنس "دياديما سيتوسوم".
في الموقع، لم يعثر الفريق إلّا على بقايا لقنافذ بحر سوداء ذات أشواك طويلة، واعتقدوا بداية أن التلوث المحلي هو السبب.
لكن خلال أسبوعين، بدأت الأنواع نفسها التي تعيش عند الساحل في محمية المعهد المشترك بين الجامعات لعلوم البحار، بالنفوق.

وفي غضون 48 ساعة، عثر العلماء على القنافذ نافقة بسبب مرض مجهول، بعدما كانت تعيش في خزانات مملوءة بالماء المتدفق من البحر على بعد أمتار قليلة.
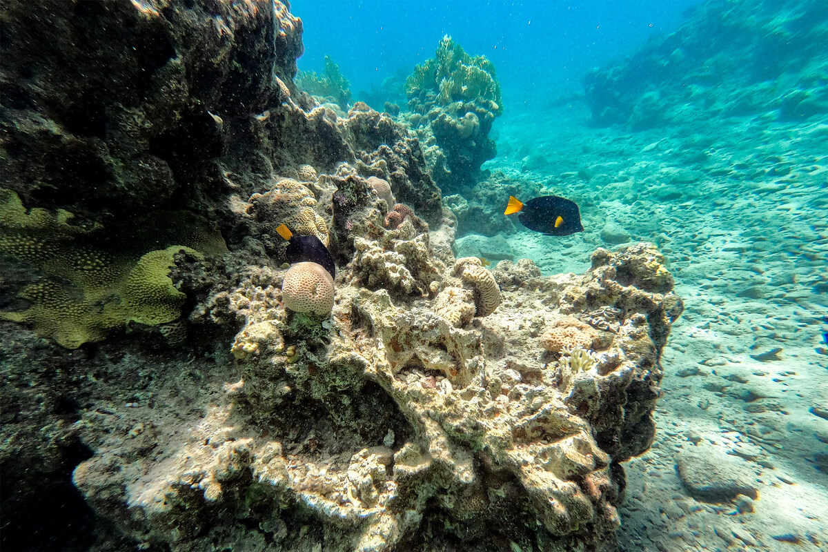
وخلص الباحثون الذين رصدوا قنافذ نافقة على مساحة كبيرة وصولاً إلى جنوب البحر الأحمر، إلى أن هذه الحالات طالت نوعين من القنافذ البحرية هما "دياديما سيتوسوم" و"إكينوثريكس كالاماريس"، دون غيرهما من الأنواع التي لم تطرأ عليها أي تغييرات.
عند زيارتها للمنطقة، رصدت صحافية من وكالة فرانس برس مجموعة من الأسماك الملونة تسبح حول المحمية البحرية التي لم تسلم من تأثير البشر، إذ انتشرت فيها أكياس وأكواب بلاستيكية أمسكت شميدت بمجموعة منها وألقتها على بزة الغوص الخاصة بها للتخلص منها لاحقاً.

- "مدمر" -
بالنسبة للفريق، فإنّ فقدان أنواع قنافذ البحر المعروفة يمكن أن يكون له تأثير مدمر على البيئة، إذ أنها تأكل الطحالب التي تنمو بشكل أسرع بكثير من الشعاب المرجانية.
وتقول شميدت: "تتفوق (الطحالب) على الشعاب المرجانية وتخنقها وتقتل مساحات كاملة منها".
وتضيف: "يمكن أن يؤدي ذلك إلى تدمير النظام البيئي للشعب المرجانية بأكمله".
وأثناء سيرها على طول الشاطئ، التقطت شميدت مجموعة من الطحالب وألقتها داخل زعانف الغوص الخاصة بها قبل إطعامها لقنافذ البحر التي تعيش في الخزانات.
حادثة مشابهة لما حصل في إيلات، شهدها البحر الكاريبي في المحيط الأطلسي.
اكتشفت عالمة الأحياء ميا بريتبارت أخيراً سبب حالات النفوق الجماعي لقنافذ البحر في منطقة البحر الكاريبي، وينتابها قلق من التأثير المستقبلي المحتمل لهذا النفوق.
وتقول لـ"وكالة فرانس برس": "أعتقد أنّ الأمر مخيف خصوصاً في تلك المنطقة، وفي البحر الأحمر حيث من الشائع أنّ الشعاب المرجانية لها قدرة عالية على التأقلم، أعتقد أنّ العالم يتوسّم خيراً في تلك الشعاب".

العام الماضي وتحديداً في الولايات المتّحدة، بدأت بريتبارت تسمع أنّ أنواع من جنس "دياديما أنتيلاروم" المشابهة للقنافذ البحرية في البحر الأحمر تغيّر سلوكها قبل أن تموت بأعداد كبيرة.
استمر الوضع في التدهور في منطقة الكاريبي التي لا تزال تعاني حتى اليوم تبعات حادث مماثل في الثمانينات لم يُكتشف سببه بعد وتصفه بريتبارت بأنّه "مدمّر تماماً".
خلال أشهر، خلصت بريتبارت مع العلماء العاملين في مختلف أنحاء منطقة الكاريبي إلى أنّ هذا النفوق الجماعي عائد إلى عامل مَرَضيّ، ما بعث الأمل في إمكان اكتشاف سبب نفوق القنافذ البحرية في البحر الأحمر.

- "المرض التالي" -
يحاول عمري برونشتاين من جامعة تل أبيب والفريق في إيلات وغيرها من المواقع، التوصل إلى سبب الحالات المسجلة في البحر الأحمر.
ويتساءل: "هل نتحدث عن العامل الممرّض نفسه الذي ضرب منطقة الكاريبي مثلاً؟ أما أننا أمام سيناريو مختلف تماماً".
وأعرب بورنشتاين الذي يدير مختبراً في جامعة تل أبيب حيث يضع القنافذ البحرية في أوعية زجاجية، عن أسفه لأنه من المستحيل وقف هذا النفوق الجماعي.
ويستدرك: "لا يمكننا أن نتعامل مع المحيط كما نتعامل مع البشر المصابين بفيروس كورونا"، أي من خلال اللقاحات.
ويحاول الفريق العلمي حاليّاً إنشاء مجموعة حاضنات من أنواع قنفذ البحر المصابة التي يمكن فصلها وحجزها قبل إطلاقها في البحر عند زوال الخطر.

كما يسعى الفريق إلى معرفة كيفيّة وصول المرض إلى البحر الأحمر، هل جاء عن طريق سفينة وبالتالي يجب تنظيف السفن لتقليل خطر انتشار العامل المسبب للمرض، أم هناك سبب آخر.
ويحذّر برونشتاين: "هذا أمر يمكننا إصلاحه، لأنّ المرض التالي في الطريق، ربما يكون في أحد الموانئ أو في إحدى السفن التي تبحر حاليّاً في محيطاتنا".
العلامات الدالة
الأكثر قراءة
المشرق-العربي
1/21/2026 12:47:00 PM
أفاد مصدران اليوم الأربعاء لوكالة "رويترز" بوفاة رفعت الأسد، عم الرئيس السوري السابق بشار الأسد.
المشرق-العربي
1/21/2026 2:52:00 PM
أبرز وجوه الحكم السوري السابق
لبنان
1/21/2026 3:55:00 PM
الجيش الإسرائيلي يهدد بقصف مبان في بلدات قناريت والكفور وجرجوع
نبض